New Search
Family, Subfamily and Tribe List
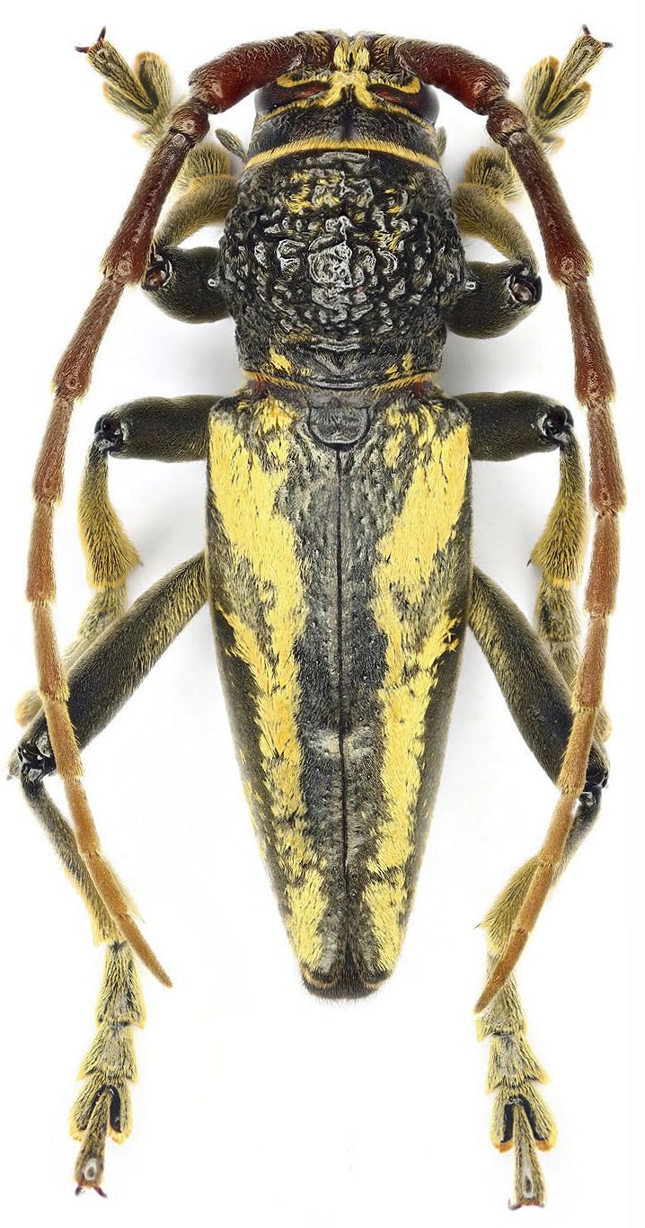
Family
Lamiinae
SubFamily
Lamiinae
Tribe
Morimopsini
Genus
Dorcadiopsis
Dorcadiopsis
planipennis
Dorcadiopsis
tesfui
130503