New Search Family, Subfamily and Tribe List
new world both worldsboth worlds old world
Family Cerambycinae
SubFamily Cerambycinae
Tribe Callidiopini

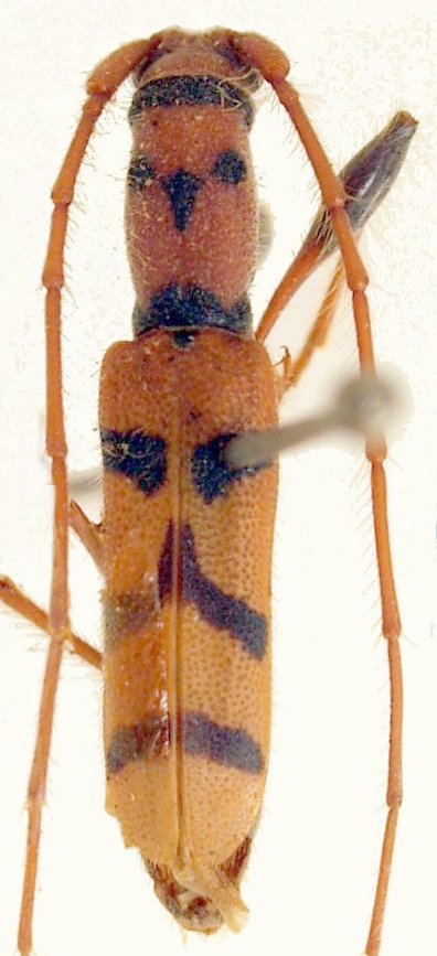
Genus Falsoibidion

Falsoibidion
bipunctatum
 

Falsoibidion
encaustum

Falsoibidion
fasciatum
 
Falsoibidion
fuscipes
 

Falsoibidion
infidarium


Falsoibidion
punctuosum

Falsoibidion
trimaculatum
 

Falsoibidion
venustulum

130503