New Search Family, Subfamily and Tribe List
new world both worldsboth worlds old world
Family Lepturinae
SubFamily Lepturinae
Tribe Lepturini

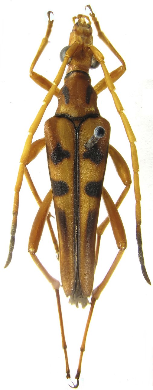
Genus Gnathostrangalia


Gnathostrangalia
aurivillii


Gnathostrangalia
bilineatithorax


Gnathostrangalia
castaneonigra


Gnathostrangalia
conspicua


Gnathostrangalia
elliptica


Gnathostrangalia
kwangtungensis


Gnathostrangalia
longiceps


Gnathostrangalia
rufovittata


Gnathostrangalia
simianshana

130503