New Search Family, Subfamily and Tribe List
new world both worldsboth worlds old world
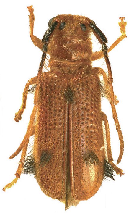
Family Lamiinae
SubFamily Lamiinae
Tribe Astathini

Genus Hispastathes


Hispastathes
ferruginea

Hispastathes
hispoides
 
130503