New Search Family, Subfamily and Tribe List
new world both worldsboth worlds old world
Family Cerambycinae
SubFamily Cerambycinae
Tribe Callidiopini

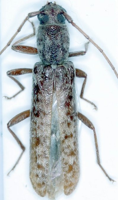
Genus Nastocerus

Nastocerus
annulicornis
 
Nastocerus
brevipennis
 
Nastocerus
longicollis
 

Nastocerus
maculicornis


Nastocerus
scutatus

Nastocerus
semitibialis
 
Nastocerus
vacheri
 
130503