New Search Family, Subfamily and Tribe List
new world both worldsboth worlds old world
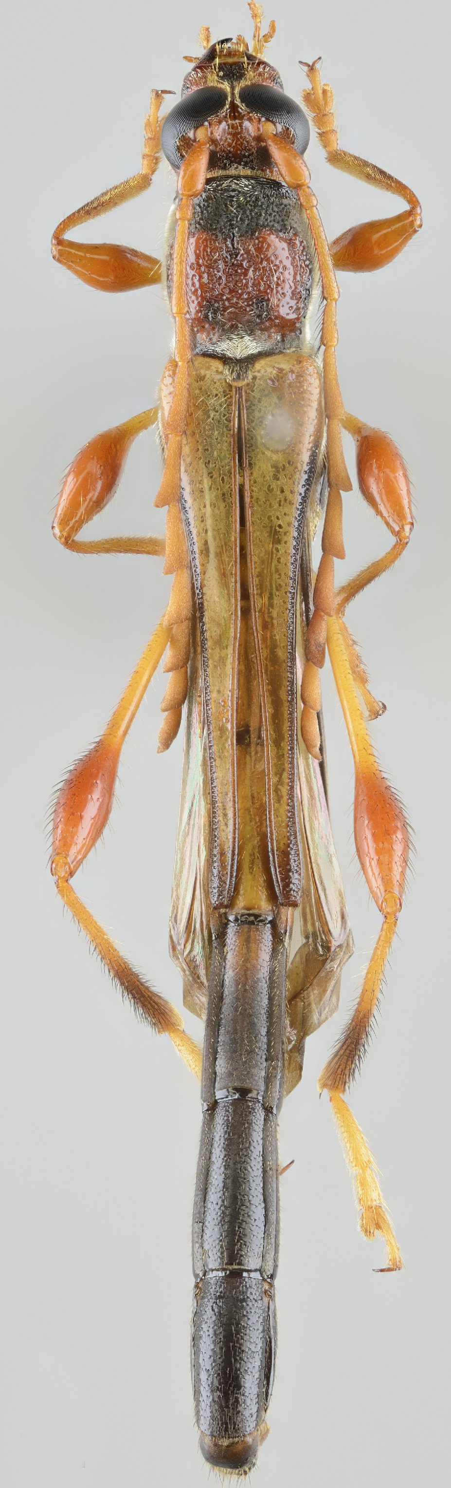
Family Cerambycinae
SubFamily Cerambycinae
Tribe Rhinotragini

Genus Odontogracilis


Odontogracilis
copei


Odontogracilis
cracentis


Odontogracilis
exilis


Odontogracilis
gracilis


Odontogracilis
mudgei


Odontogracilis
violaceus

130503