New Search Family, Subfamily and Tribe List
new world both worldsboth worlds old world
Family Cerambycinae
SubFamily Cerambycinae
Tribe Callichromatini

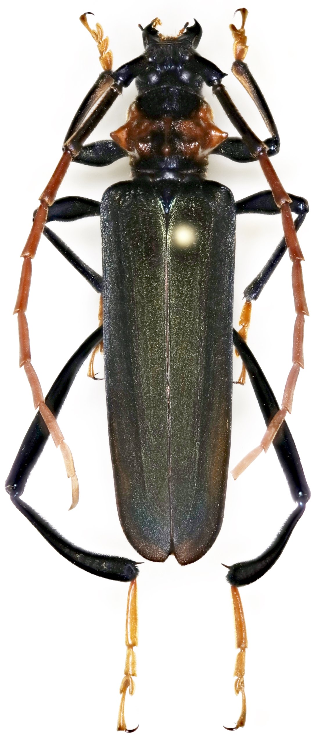
Genus Tomentaromia


Tomentaromia
basalis

Tomentaromia
cecilae
 

Tomentaromia
daklakensis


Tomentaromia
delatouchii


Tomentaromia
faldermannii
faldermannii


Tomentaromia
faldermannii
horishanensis


Tomentaromia
gentili


Tomentaromia
gregoryi


Tomentaromia
insolita


Tomentaromia
kontumensis


Tomentaromia
lingafelteri


Tomentaromia
metallicollis

Tomentaromia
muelleri
 

Tomentaromia
subnigripennis

Tomentaromia
tavakiliani
 
130503