New Search
Family, Subfamily and Tribe List
Family
Cerambycinae
SubFamily
Cerambycinae
Tribe
Obriini
Genus
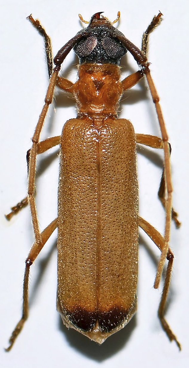
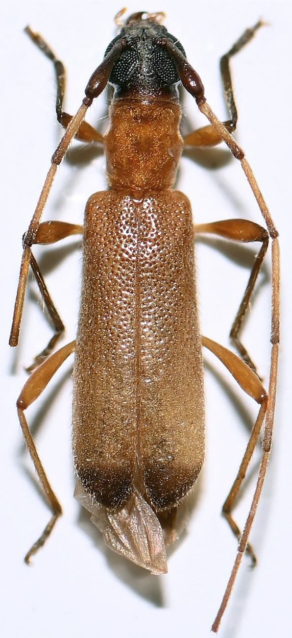
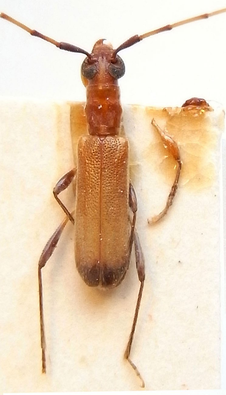
Kuegleria
Kuegleria
annulicornis
Kuegleria
atricolor
Kuegleria
femorata
Kuegleria
nigra
Kuegleria
oculata
130503