New Search Family, Subfamily and Tribe List
new world both worldsboth worlds old world
Family Cerambycinae
SubFamily Cerambycinae
Tribe Cleomenini

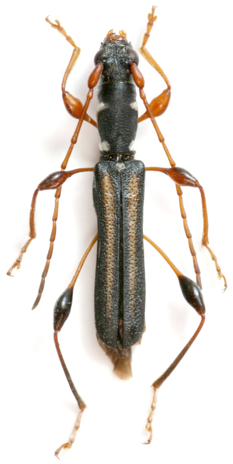
Genus Nidella


Nidella
anichtchenkoi


Nidella
argutula


Nidella
asperana


Nidella
bimaculata


Nidella
borodini


Nidella
coomani


Nidella
fenestrella


Nidella
opacula


Nidella
petrovi


Nidella
repanda


Nidella
stanislavi


Nidella
stanleyana

130503